|

[46] The martian landscape is characterized by blocks that litter the surface. The interest stimulated by these blocks depends on your point of view. Viewers lacking in imagination see only a rock pile, a sort of cosmic junk heap. At the other extreme, viewers with a surplus of imagination see all sorts of artifacts, even remnants of former civilizations. Somewhere in between, planetary scientists are impressed by block shape, texture, and color-all clues to rock origin and erosional modification.
On the Moon, most blocks are formed by meteoroid impact and accompanying excavation of bedrock. Since impact craters are common features on Mars, this same process of block formation must be represented. In fact, Viking Orbiter images of the Lander 1 site indicate that the rims of several impact craters are visible in Lander images, and may have been responsible for much of the apparent fracturing of bedrock in this region. However, at least some of the blocks appear to have modified further by in situ weathering, and moved downslope by processes other than impacts. On a more speculative level, it is possible that some of the blocks were deposited by giant floods that scoured the surface millions of years ago. Braided valleys, similar to those formed by terrestrial flood waters, are revealed in Orbiter pictures as close as 60 km to the west of the landing site.
Whatever their origin, the blocks make fascinating pictorial designs, especially when deeply shadowed by an early morning or late afternoon Sun. Figure 41, taken during the extended mission when a global dust storm darkened the atmosphere, gives quite a different impression than that given by figures 39 and 40.

[49] More blocks! Figures 42 and 43 show the same scene under different lighting conditions: afternoon backlighting in figure 42 and morning frontlighting in figure 43. A low gain antenna used to receive commands sent from Earth to Mars is visible in the lower right. This receiver failed shortly after landing, one of the very few component failures on the spacecraft. Subsequently, all commands were received through the dish shaped high gain antenna mounted at the rear of the spacecraft.
Figures 44 and 45 show the same scene with low and high Sun illumination. The large block in the upper center, like many other blocks throughout the scene, appears to be coarsely granular. This type of block may be derived from igneous rock that crystallized at shallow depth within the crust where cooling rates were slow enough to allow growth of large crystals. The pitted appearance is a result of preferential erosion around these grains by wind blown dust.
Many of the blocks seen here, and in previous figures, have fillets of fine grained sediment preferentially arranged in one direction. These "tails" probably were formed as the prevailing wind transported fine particles. Eroded from exposed regions, the particles were preferentially deposited in the protected lee of boulders. Alternatively, some of the tails may be protected remnants of a dust cover that originally covered the blocks.

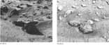
Figures 46 and 47 graphically illustrate how the appearance of the scene changes with differing illumination. Erosional depressions around blocks are clearly shown in figure 46, although little can be deciphered regarding the configuration or texture of the blocks themselves. Figure 47 shows structure on the block in the foreground that has earned it the nickname "Sponge Rock." This distinctive texture must be telling us something. But what? Without actually picking up the rock, examining it with a hand lens or under a microscope-common geological techniques on Earth-it is difficult to make a unique determination. For example, it has been suggested that the darker spots are dark clasts in a lighter groundmass. The texture, then, would be that of a breccia, a fragmental rock formed by successive breaking apart and lithification during repeated meteroid impact events. Alternately, it has been proposed that the appearance of the rock is due primarily to an unusually porous texture such as forms in some extrusive volcanic rocks.
The erosional collar is a common feature in terrestrial deserts where similar depressions occur on the upwind side of boulders. The wind, driven against the boulder, develops strong turbulence and increased erosive power. Consequently, fine grained material is scoured in front of the rock.
The elliptical pits in the sediment were formed at the time of landing by throwout of pebbles or soil clods.
Figures 48 and 49 are two views of the same area, looking back across the spacecraft. The prominent structure on the right is the supporting mast for the S band antenna. Nicely framed by obscuring parts of the spacecraft is a coarsely pitted block, partly buried by sediment. The sediment may represent a large wind tail similar to smaller deposits of sediment that occur in the lee of many small blocks photographed in front of the spacecraft.
The upper part of the strut assembly for the leg at the rear of the spacecraft appears at the left of figures 48 and 49. Note the striped rod which measures the amount of compression in the landing shock absorber, roughly analogous to an extended, indexed rod in an air pressure gauge for tires.

The diversity of rock types of the Viking 1 landing site has been a matter of controversy. Some geologists argue that only one or two fundamental rock types are represented, and that the diversity of block shape and size is attributable to erosion. Other geologists claim to see ten or more fundamentally different rock types, indicating igneous rocks of varying chemical composition crystallizing under varying conditions. Figure 50 shows a variation in block type that is beyond dispute. In the midfield there is a group of dark boulders that contrast with the brighter boulders elsewhere in the scene. Figure 51 is an enlargement of part of the scene showing the characteristically pyramidal shape of the dark blocks. Multifaceted blocks of this type commonly occur in terrestrial deserts. They are termed ventifacts, literally "made by the wind." Prevailing winds sandblast one face. Then either the block or wind shifts to create another face. The planar perfection of ventifacts depends on grain size. Fine grained rocks such as basalt produce unusually well formed ventifacts. Coarse grained rocks such as granite tend to yield irregularly pockmarked faces. It is probable, then, that the dark, faceted martian blocks are wind shaped boulders of basalt.
