|

[57] Although the Viking 1 landing was very gentle, examination of subsequent pictures revealed more and more signs of surface alteration at the time of landing. Many of the changes were due to the exhaust of the three small retrorockets mounted one on each side of the triangular Lander body. Figure 56 shows, on the left, an area beneath the retrorocket mounted between the two cameras. A region of flat, indurated, cracked material has apparently been swept clear of overlying sediment. Similar dried and mudcracked layers occur in arid regions of Earth where they are sometimes referred to as hardpan or caliche. The layers are indurated by the precipitation of cementing salts as soil water, rising to the surface by capillary action, evaporates. We termed the martian cemented soil layers duricrust, a general term with a minimum of genetic implications. Although the interpretation of this particular exposure was greeted skeptically by many scientists, subsequent observations of similar cemented layers throughout both landing areas strengthened the initial arguments.
A small cylindrical pin rests on the soil, about halfway across the bottom of figure 56. This is the infamous locking pin that should have been ejected from the surface sampler during its first maneuver. Because the arm was not extended far enough the pin failed to drop to the ground, and the sampler mechanism jammed. Subsequently, when the arm was commanded to extend further, the pin finally dropped out. The proof is in this picture.
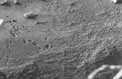
Figure 57 shows a common feature wherever fine grained material is present. Small pebbles or pellets of soil thrown out by the force of the rocket exhaust have fallen back into fluffy sediment, creating elongate pits. This sort of feature occurs at many different scales on planetary surfaces. Some large lunar craters such as the Imbrium impact basin have secondary craters that extend over an entire lunar hemisphere.


[59] Figures 58 and 59 are panoramas showing the same region to the left of the spacecraft, looking toward the front. At the far left there is a strut leading down to footpad 2. The footpad, itself, is buried by sediment, and is therefore not visible.
For a landing site purposely chosen as bland and homogeneous, these pictures document surprising diversity. One footpad, that photographed in the very first picture, is perched on a hard, unyielding surface. Another footpad, less than 3 m distant, is emplaced in a drift of incohesive, fine grained sediment. At the time of landing this sediment broke away and flowed down a gentle slope to cover the footpad.
Elliptical pits, formed by rocket exhaust throwout of soil pellets, are visible in the right part of the panorama. The prominent structure at the far right is a magnet cleaning brush. Permanent magnets were mounted on a backhoe attachment to the sampling shovel. By dragging the backhoe through the soil the concentration of magnetic particles could be determined. The initial plan was to clean the magnets after each sampling operation by moving the backhoe between the opposing stiff wire brushes on the end of the struts. During tests conducted on Earth it was discovered that the surface sampler occasionally became jammed between the wire brushes. Accordingly it was decided that the cleaning brushes would not be used. Eventually, well into the extended mission, the edict was rescinded and several cleaning operations were successfully accomplished.
Figures 60 and 62 are two pictures of the same area taken under different lighting conditions, although figure 60 shows a larger area than does figure 62. Figure 61 is an enlargement of the area in the upper right corner of figure 60. Pits formed by throwout of soil pellets during landing rocket maneuvers are particularly well displayed in the right side of figure 62. At the far right of figure 61, just above the landing leg strut, a beer can shaped object is visible lying on the...