|

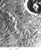
[73] IMPACT CRATERS, which occur almost everywhere on the Martian surface, are significant because the number of impact craters per unit area gives an indication of the relative ages of different parts of the surface. They also provide clues to the properties of the near-surface materials and record the effects of various processes, such as wind action, that modify the surface. The density of impact craters varies from the heavily cratered southern hemisphere to very sparsely cratered regions like the polar dune fields and laminated terrain.
Most surfaces photographed by the Viking orbiters have crater densities in excess of typical lunar mare surfaces. This condition suggests that most of the Martian surface is probably billions of years old. The implication is that resurfacing, such as by volcanic processes or wind action, is extremely slow in most places compared with Earth. Crater densities low enough to suggest significantly higher rates of resurfacing are found only in the polar regions, around some volcanoes, and very locally in other areas. In the 40° to 60° latitude belts, particularly, significant surface modification has occurred since the presently observed crater population formed. Craters in these areas have apparently been modified by repeated burial and stripping of debris layers. The era in which this activity occurred, and whether or not it is continuing, in unknown.
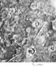
The Viking orbiter pictures revealed some unique characteristics of Martian impact craters. The ejecta pattern around most fresh Martian impact craters is distinctively different from that around lunar and mercurian craters. On the Moon and on Mercury, the ejecta typically have a coarse, disordered texture close to the rim. Farther out, the texture becomes finer and, with increasing radial distance, grades imperceptibly into dense fields of secondary craters and rays. Most Martian craters have quite a different ejecta pattern. The ejecta commonly appear to consist of several layers, with the outer edge of each marked by a low ridge or escarpment. Features on the ejecta surfaces include closely space radial striae and concentric grooves, ridges, and scarps, especially toward the outer margin. These unique Martian features were seen vaguely in the Mariner 9 pictures and tentatively attributed to wind action.
Viking pictures show that many of the peculiar characteristics of Martian craters are primary emplacement features not due to wind. The fresher the crater appears, the better preserved are the striae, ramparts, and concentric features. Very small secondary craters indicate that the crater has undergone very little modification since its formation. Martian craters look different from those on the Moon and Mercury because the process of ejecta emplacement is different. The final stage of emplacement of ejecta on Mars [74] is thought to be an outward moving debris flow instead of the simple ballistic deposition that occurs on the Moon and Mercury. Why the emplacement process is so different on Mars in not understood; possibly encountering water at depth or the melting of large amounts of ground ice by the impact results in fluid, mud-like ejecta. The presence of an atmosphere may also have an effect on the manner in which the ejecta are emplaced. These characteristics of the craters indicate that the properties of near-surface materials on Mars are quite different from those on the Moon and Mercury.
Although some features of Martian craters formerly attributed to wind action are now believed to be primary, modification by wind is still significant in many areas. In the 40° to 60°N latitude band, numerous craters that have been termed pedestal craters occur in the center of a roughly circular platform many crater-diameter across. The pedestals have been attributed to the partial stripping of a formerly continuous debris blanket by the wind, with the result that most craters are surrounded by a platform composed of remnants of the debris blanket. This feature is especially striking where fields of secondary craters occur, and results in arrays of low hills with central craters that simulate a field of volcanic cones. In other areas, repeated burial and stripping have led to bizarre formations, such as ejecta surfaces at a lower elevation than the surrounding terrain.
![]() |
|
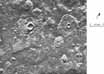
Hamelin Crater. Hamelin Crater, only 90 km northeast of the original landing site selected for Viking Lander 1 in Chryse Planitia, shows the raised edge or rampart around the ejecta blanket that is characteristic of many craters in this area. [77/08/10/180701; 20°N, 33°W] |